April 19, 2026, 6:58 pm | Converter
আন্তর্জাতিক

নিরাপত্তা শঙ্কায় ত্রিভুবন আন্তর্জাতিক বিমানবন্দরের সব ফ্লাইট বাতিল

অভূতপূর্ব ও গুরুতর পরিস্থিতি এবং নিরাপত্তাজনিত কারণে নেপালের ত্রিভুবন আন্তর্জাতিক বিমানবন্দরের (টিআইএ) সমস্ত ফ্লাইট বাতিল করা হয়েছে। মঙ্গলবার (৯ সেপ্টেম্বর) এই সিদ্ধান্ত নেয় বিমানবন্দর কর্তৃপক্ষ। বিমানবন্দর এলাকা কোটেশ্বরের কাছে ধোঁয়ার

বিস্তারিত..

পদচ্যুত হলেন ফ্রান্সের প্রধানমন্ত্রী

ফ্রান্সের প্রধানমন্ত্রী ফ্রাঁসোয়া বাইরু পার্লামেন্টে আস্থা ভোটে পরাজিত হয়ে পদচ্যুত হয়েছেন। সোমবার অনুষ্ঠিত ভোটে তাকে সরানোর পক্ষে ভোট দেন বেশির ভাগ সদস্য। এর ফলে পুরো সরকারকেই ক্ষমতা ছাড়তে হচ্ছে। সরকারের

বিস্তারিত..

নেপালে জেন জি আন্দোলনে নিহত ৮, তীব্র হচ্ছে সংঘাত

নেপালে জেন জি আন্দোলনে পুলিশ-বিক্ষোভকারী সংঘর্ষে নিহতের সংখ্যা বেড়ে আটজনে পৌঁছেছে। আন্দোলনে শতাধিক বিক্ষোভকারী, সাংবাদিক ও নিরাপত্তাকর্মীও আহত হয়েছেন। রাজধানীর বিভিন্ন হাসপাতালে তাদের চিকিৎসা চলছে। আহতদের মধ্যে অনেকের অবস্থা আশঙ্কাজনক

বিস্তারিত..

জেন জি বিক্ষোভে উত্তাল নেপাল, পার্লামেন্টে ঢুকে পড়েছে জনতা

নেপালে সামাজিক যোগাযোগমাধ্যম প্ল্যাটফর্ম বন্ধ ও সরকারের দুর্নীতি বিরুদ্ধে জেন জি প্রজন্মের নেতৃত্বে শুরু হওয়া আন্দোলন অনলাইন থেকে সড়কে পৌঁছেছে। সোমবার সকালের দিকে দেশটির রাজধানী কাঠমান্ডুতে শুরু হওয়া এই বিক্ষোভ

বিস্তারিত..

পদত্যাগের সিদ্ধান্ত নিয়েছেন জাপানের প্রধানমন্ত্রী

পদত্যাগের সিদ্ধান্ত নিয়েছেন জাপানের প্রধানমন্ত্রী শিগেরু ইশিবা। ক্ষমতাসীন লিবারেল ডেমোক্রেটিক পার্টির (এলডিপি) মধ্যে বিভক্তি এড়াতে তিনি এমন সিদ্ধান্ত নিয়েছেন। দেশটির প্রচারমাধ্যম এনএইচকে এ তথ্য নিশ্চিত করেছে। এর আগে গত জুলাই

বিস্তারিত..

লাগাতার হামলায় গাজায় নিহত আরও ৭৫, নিরাপদ আশ্রয় মিলছে না কোথাও

ফিলিস্তিনের অবরুদ্ধ গাজায় ইসরায়েলের লাগাতার বোমাবর্ষণে একদিনে কমপক্ষে আরও ৭৫ জন নিহত হয়েছেন। এর মধ্যে কেবল গাজা সিটিতেই নিহত হয়েছেন ৪৪ জন। এদিকে ইসরায়েলি বাহিনীর তীব্র হামলায় গাজা সিটি পরিণত

বিস্তারিত..

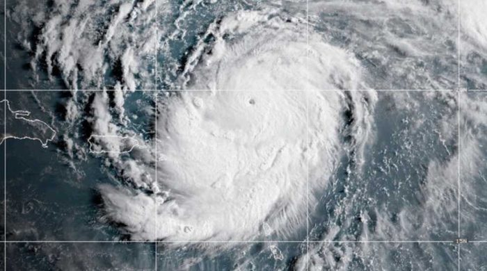
হারিকেন অ্যারিনে আশ্চর্যজনক পরিবর্তন দেখা গেছে

ক্যারবীয় অঞ্চলের দিকে চোখ রাখানো হারিকেন অ্যারিনে আশ্চর্যজনক পরিবর্তন দেখা গেছে। হারিকেনটি মাত্র ২৪ ঘণ্টার ব্যবধানে ক্যাটাগরি-১ থেকে ক্যাটাগরি-৫ এ রূপ নিয়েছিল। যা রীতিমতো বিষ্মিত করেছিল আবহাওয়াবিদদের। তবে হারিকেনটি কিছুটা

বিস্তারিত..

পাকিস্তানে ভয়াবহ বন্যায় হতাহতদের জন্য হৃদয় ভেঙেছে মালালার

পাকিস্তানের উত্তরাঞ্চলে ভয়াবহ বন্যায় গত কয়েকদিনে প্রায় ৩৫০ জন মানুষের মৃত্যু হয়েছে। এ ঘটনায় দুঃখ প্রকাশ করেছেন শান্তিতে নোবলজয়ী মালালা ইউসুফজাই। রোববার (১৭ আগস্ট) মাইক্রো ব্লগিং সাইট এক্সে তিনি লিখেছেন,

বিস্তারিত..

ফিলিস্তিনিদের সরিয়ে নেওয়ার ইসরায়েলি পরিকল্পনা প্রত্যাখ্যান

অবরুদ্ধ গাজা নগরী থেকে বাসিন্দাদের স্থানান্তরের ইসরায়েলি পরিকল্পনা সেখানকার লাখ লাখ বাসিন্দার জন্য ‌‘গণহত্যা ও বাস্তুচ্যুতির নতুন ঢেউ’ তৈরি করবে আখ্যা দিয়ে তা প্রত্যাখ্যান করেছে ফিলিস্তিনি স্বাধীনতাকামী গোষ্ঠী হামাস। বাসিন্দাদের

বিস্তারিত..

চীনের উত্তরাঞ্চলে আকস্মিক বন্যায় ১০ জনের প্রাণহানি

চীনের উত্তরাঞ্চলের স্বায়ত্তশাসিত অঞ্চল ইনার মঙ্গোলিয়ায় আকস্মিক বন্যায় অন্তত ১০ জনের প্রাণহানি ঘটেছে। এই ঘটনায় নিখোঁজ রয়েছেন আরও কমপক্ষে দু’জন। বিশ্বের দ্বিতীয় বৃহত্তম অর্থনীতির এই দেশটিতে পূর্ব এশীয় মৌসুমী বায়ুর

বিস্তারিত..

ইউক্রেন যুদ্ধ বন্ধের বদলে কী কী চান পুতিন

যুক্তরাষ্ট্রের প্রেসিডেন্ট ডোনাল্ড ট্রাম্পের সঙ্গে গত শুক্রবার কয়েক ঘণ্টা বৈঠক করেন রুশ প্রেসিডেন্ট ভ্লাদিমির পুতিন। বৈঠকে পুতিন ইউক্রেন যুদ্ধ বন্ধে কিছু শর্ত দেন। সংবাদমাধ্যম সিএনএন ইউরোপীয় নেতাদের বরাতে রোববার (১৭

বিস্তারিত..

© All rights reserved © deshbarta.ca 2025

Developer Design Host BD